Skip to primary content

Elizabeth's Wildflower Blog

hunting in the Maryland piedmont (mostly)

Elizabeth's Wildflower Blog

Main menu

  • Home
  • About
  • Families
  • Location Key
  • Plant List (binomial)
    • Acer negundo
    • Acer rubrum
    • Actaea racemosa
    • Ageratina altissima var. altissima
    • Ageratina aromatica
    • Agrimonia gryposepala
    • Agrimonia parviflora
    • Alisma subcordatum
    • Allium canadense
    • Allium cernuum
    • Allium tricoccum
    • Ambrosia trifida
    • Amphicarpaea bracteata
    • Anaphalis margaritacea
    • Andropogon gerardii
    • Anemone americana
    • Anemone quinquefolia
    • Anemone virginiana
    • Antennaria plantaginifolia
    • Aplectrum hyemale
    • Apocynum cannabinum
    • Arabidopsis lyrata ssp. lyrata
    • Aralia nudicaulis
    • Arisaema triphyllum
    • Aronia melanocarpa
    • Aruncus dioicus
    • Asarum canadense
    • Asclepias incarnata
    • Asclepias quadrifolia
    • Asclepias syriaca
    • Asclepias verticillata
    • Asclepias viridiflora
    • Asimina triloba
    • Baptisia australis
    • Bidens bipinnata
    • Bidens cernua
    • Bidens frondosa
    • Bidens polylepis
    • Boechera laevigata
    • Caltha palustris
    • Campsis radicans
    • Cardamine angustata
    • Cardamine bulbosa
    • Cardamine concatenata
    • Carex grayi
    • Catalpa speciosa
    • Caulophyllum thalictroides
    • Ceanothus americanus
    • Cephalanthus occidentalis
    • Cerastium arvense
    • Cercis canadensis
    • Chaerophyllum tainturieri var. tainturieri
    • Chamaecrista fasciculata
    • Chasmanthium latifolium
    • Chimaphila maculata
    • Chionanthus virginicus
    • Chrysosplenium americanum
    • Circaea lutetiana
    • Claytonia virginica
    • Clinopodium vulgare
    • Clitoria mariana
    • Collinsonia canadensis
    • Comandra umbellata
    • Commelina virginica
    • Conoclinium coelestinum
    • Conopholis americana
    • Conyza canadensis
    • Coreopsis tripteris
    • Coreopsis verticillata
    • Cornus florida
    • Corydalis flavula
    • Cryptotaenia canadensis
    • Cunila origanoides
    • Cuscuta gronovii
    • Cynanchum laeve
    • Cypripedium acaule
    • Desmodium canescens
    • Desmodium paniculatum
    • Dicentra canadensis
    • Dicentra cucullaria
    • Dichanthelium clandestinum
    • Diodella teres
    • Diodia virginiana var. virginiana
    • Dioscorea villosa
    • Dirca palustris
    • Eclipta prostrata
    • Elephantopus carolinianus
    • Elymus hystrix
    • Epifagus virginiana
    • Epigaea repens
    • Erechtites hieraciifolius var. hieraciifolius
    • Erigenia bulbosa
    • Erythronium albidum
    • Erythronium americanum
    • Eubotrys racemosa
    • Euonymus americanus
    • Eupatorium godfreyanum
    • Eupatorium hyssopifolium
    • Eupatorium perfoliatum
    • Eupatorium serotinum
    • Eupatorium sessilifolium
    • Eupatorium torreyanum
    • Euphorbia corollata
    • Eurybia divaricata
    • Eurybia macrophylla
    • Euthamia graminifolia
    • Eutrochium purpureum
    • Galearis spectabilis
    • Galium aparine
    • Galium circaezans
    • Galium concinnum
    • Gaultheria procumbens
    • Geranium carolinianum var. carolinianum
    • Geranium maculatum
    • Geranium robertianum ssp. robertianum
    • Geum canadense var. canadense
    • Geum vernum
    • Goodyera pubescens
    • Hamamelis virginiana
    • Helenium autumnale
    • Helenium flexuosum
    • Helianthus decapetalus
    • Helianthus divaricatus
    • Helianthus tuberosus
    • Heracleum maximum
    • Heteranthera dubia
    • Heuchera americana
    • Hibiscus laevis
    • Hibiscus moscheutos
    • Hieracium gronovii
    • Hieracium venosum
    • Houstonia caerulea
    • Houstonia longifolia
    • Houstonia purpurea
    • Hydrangea arborescens
    • Hydrophyllum canadense
    • Hydrophyllum virginianum
    • Hylodesmum glutinosum
    • Hylodesmum nudiflorum
    • Hylotelephium telephioides
    • Hypericum gentianoides
    • Hypericum hypericoides
    • Hypericum mutilum
    • Hypericum prolificum
    • Hypericum punctatum
    • Hypopitys monotropa
    • Hypoxis hirsuta
    • Ilex opaca
    • Ilex verticillata
    • Impatiens capensis
    • Impatiens pallida
    • Ionactis linariifolia
    • Ipomoea lacunosa
    • Ipomoea pandurata
    • Iris versicolor/Iris virginica
    • Isotria verticillata
    • Jeffersonia diphylla
    • Juglans nigra
    • Justicia americana
    • Kalmia latifolia
    • Krigia dandelion
    • Laportea canadensis
    • Lespedeza repens
    • Lespedeza virginica
    • Lindera benzoin
    • Lindernia dubia
    • Liparis liliifolia
    • Liriodendron tulipifera
    • Lobelia cardinalis
    • Lobelia inflata
    • Lobelia siphilitica var. siphilitica
    • Ludwigia alternifolia
    • Ludwigia decurrens
    • Lycopus uniflorus
    • Lycopus virginicus
    • Lysimachia ciliata
    • Lysimachia quadrifolia
    • Lysimachia terrestris
    • Magnolia macrophylla
    • Maianthemum canadense
    • Maianthemum racemosum ssp. racemosum
    • Medeola virginiana
    • Menispermum canadense
    • Mentha arvensis
    • Mertensia virginica
    • Micranthes virginiensis
    • Mikania scandens
    • Mimulus alatus
    • Mimulus ringens var. ringens
    • Mitchella repens
    • Mitella diphylla
    • Monarda clinopodia
    • Monarda fistulosa
    • Monotropa uniflora
    • Myosotis verna
    • Nuphar advena
    • Obolaria virginica
    • Oenothera biennis
    • Oenothera perennis
    • Opuntia humifusa var. humifusa
    • Orobanche uniflora
    • Osmorhiza claytonii
    • Osmorhiza longistylis
    • Ostrya virginiana
    • Oxalis dillenii
    • Oxalis grandis
    • Oxalis stricta
    • Oxalis violacea
    • Packera anonyma
    • Packera aurea
    • Panax trifolius
    • Passiflora lutea
    • Penstemon digitalis
    • Penstemon hirsutus
    • Persicaria amphibia
    • Persicaria virginiana
    • Phacelia covillei
    • Phacelia dubia
    • Phacelia purshii
    • Phlox divaricata
    • Phlox paniculata
    • Phlox subulata
    • Phryma leptostachya
    • Phyla lanceolata
    • Physostegia virginiana
    • Phytolacca americana
    • Podophyllum peltatum
    • Polygala polygama
    • Polygala sanguinea
    • Polygonatum biflorum var. biflorum
    • Polygonatum biflorum var. canaliculatum
    • Polymnia canadensis
    • Pontederia cordata
    • Potentilla canadensis
    • Potentilla simplex
    • Prunella vulgaris
    • Prunus virginiana
    • Pseudognaphalium obtusifolium
    • Pycnanthemum tenuifolium
    • Ranunculus abortivus
    • Ranunculus hispidus
    • Ranunculus hispidus var. nitidus
    • Ranunculus recurvatus
    • Rhododendron periclymenoides
    • Rhus copallinum
    • Robinia pseudoacacia
    • Rosa carolina var. carolina
    • Rubus odoratus
    • Rudbeckia hirta var. pulcherrima
    • Rudbeckia laciniata
    • Ruellia caroliniensis
    • Sabatia angularis
    • Sagittaria latifolia
    • Salvia lyrata
    • Sambucus nigra ssp. canadensis
    • Sanguinaria canadensis
    • Sanicula odorata
    • Sassafras albidum
    • Saururus cernuus
    • Scutellaria elliptica
    • Scutellaria nervosa
    • Sedum ternatum
    • Senna hebecarpa
    • Sicyos angulatus
    • Silene caroliniana ssp. pensylvanica
    • Silene stellata
    • Sisyrinchium angustifolium
    • Sisyrinchium mucronatum
    • Smallanthus uvedalia
    • Smilax rotundifolia
    • Solanum carolinense
    • Solidago bicolor
    • Solidago caesia
    • Solidago flexicaulis
    • Solidago racemosa
    • Spiraea alba
    • Staphylea trifolia
    • Stellaria pubera
    • Strophostyles umbellata
    • Stylophorum diphyllum
    • Stylosanthes biflora 
    • Symphyotrichum cordifolium
    • Symphyotrichum ericoides
    • Symphyotrichum lanceolatum
    • Symphyotrichum patens
    • Symphyotrichum shortii
    • Symplocarpus foetidus
    • Teucrium canadense
    • Thalictrum coriaceum
    • Thalictrum dioicum
    • Thalictrum pubescens
    • Thalictrum thalictroides
    • Thyrsanthella difformis
    • Tipularia discolor
    • Toxicodendron radicans
    • Tradescantia virginiana
    • Trichostema dichotomum
    • Trillium cernuum
    • Trillium sessile
    • Triodanis perfoliata
    • Typha latifolia
    • Uvularia perfoliata
    • Uvularia sessilifolia
    • Vaccinium stamineum
    • Valeriana pauciflora
    • Veratrum viride
    • Verbena hastata
    • Verbena urticifolia
    • Verbesina alternifolia
    • Verbesina occidentalis
    • Vernonia noveboracensis
    • Veronicastrum virginicum
    • Viburnum acerifolium
    • Viburnum prunifolium
    • Viola cucullata
    • Viola palmata
    • Viola primulifolia
    • Viola pubescens var. pubescens
    • Viola pubescens var. scabriuscula
    • Viola sagittata var. ovata
    • Viola sororia
    • Viola striata
    • Zizia aurea
  • Plant List (common names)
  • Three Views

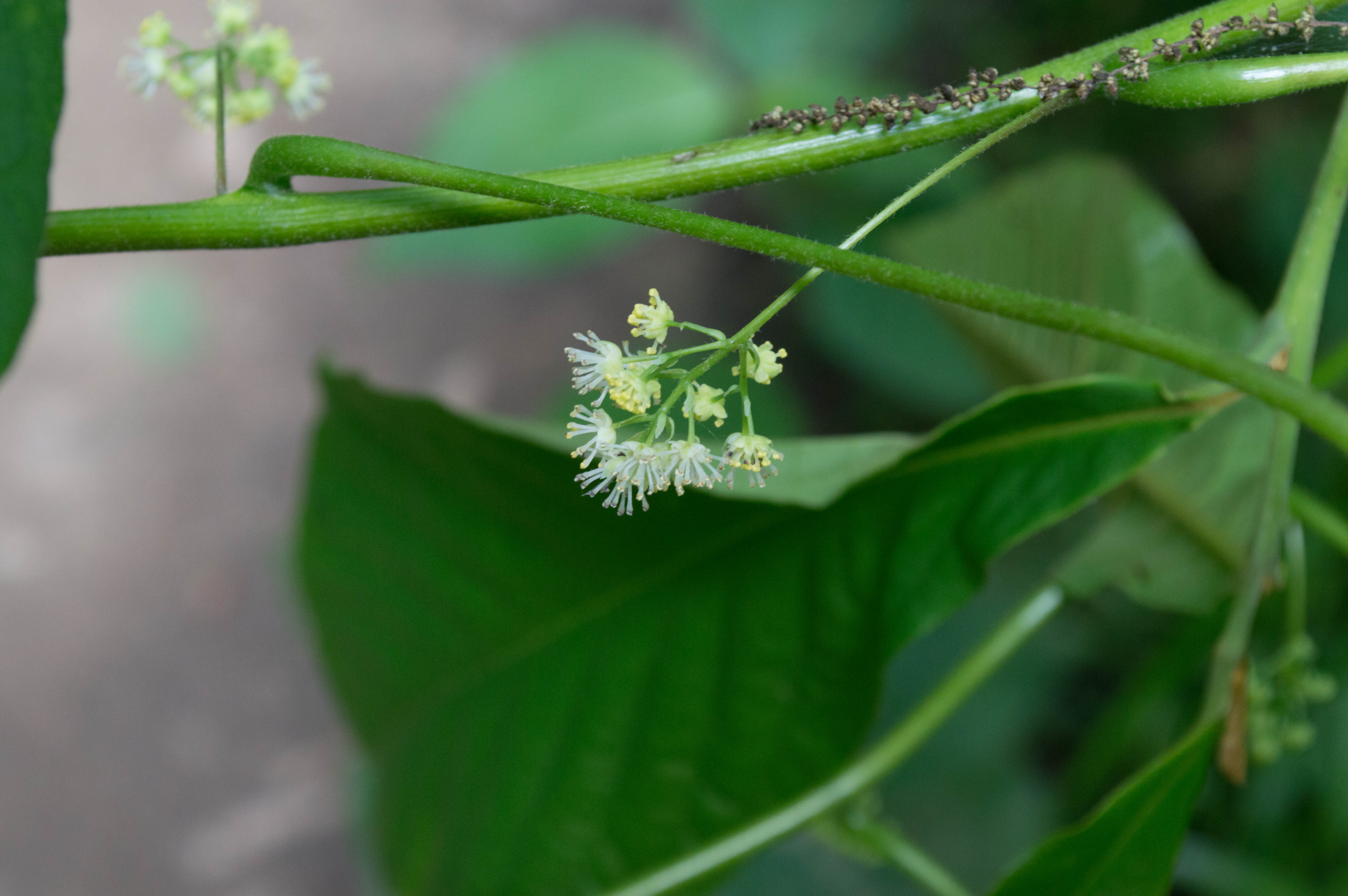
Menispermum canadense

20140601-DSC_0038

Common Names
moonseed, yellow parilla

Family
Menispermaceae

Habitat
moist woodlands

Observed Blooming
early June 2014

Conservation
no issues

20140601-DSC_0039

Share this:

  • Share on X (Opens in new window) X
  • Share on Facebook (Opens in new window) Facebook
  • Email a link to a friend (Opens in new window) Email
Like Loading...
Blog at WordPress.com.
  • Subscribe Subscribed
    • Elizabeth's Wildflower Blog
    • Join 136 other subscribers
    • Already have a WordPress.com account? Log in now.
    • Elizabeth's Wildflower Blog
    • Subscribe Subscribed
    • Sign up
    • Log in
    • Copy shortlink
    • Report this content
    • View post in Reader
    • Manage subscriptions
    • Collapse this bar
 

Loading Comments...
 

    %d